Яковлев Алексей Ерофеевич
Рождение 1916 год село Еловка Сагайской волости Минусинского уезда Енисейской губернии. Русский. Призван в Красную Армию Каратузским РВК 12 октября 1941 года село Еловка одноименного сельсовета Каратузского района Красноярского края. Рядовой. ВУС-134а. Каратузским РВК сформирована команда в составе 117 военнообязанных. Начальник команды Фондов. Команда отправлена в распоряжение Минусинского районного военного комиссариата (РВК). Порядок следования: на подводах по маршруту Каратуз – Минусинск. Последнее письмо Яковлева Алексея Ерофеевича его родственники получили в январе 1942 года.
13 ноября 1947 года Каратузский РВК направил Управлению по учету погибших и пропавших без вести список 27 бывших военнослужащих для их розыска.
29 ноября 1947 года Управление приняло решение по красноармейцам Каратузского района этого списка. 2 декабря Каратузскому РВК был направлен список, в котором красноармеец Яковлев Алексей Ерофеевич отмечен пропавшим без вести в апреле 1942 года. Извещение в Каратузском РВК после 20 декабря 1947 года получила жена воина В.А. Яковлева, проживавшая село Еловка одноименного сельсовета Каратузского района Красноярского края.

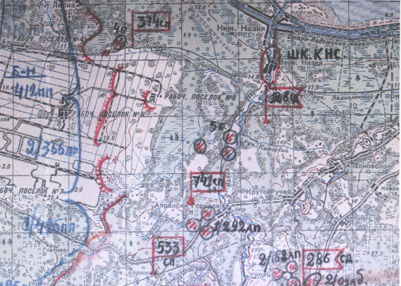
Из документов ЦАМО следует , что после необходимой подготовки рядовой Яковлев Алексей Ерофеевич был направлен стрелком в 741 полк 128 стрелковой дивизии. С сентября 1941 года она занимала оборону южнее Ладожского озера на 10-километровом участке от деревни Липки на берегу Ладожского озера и на юг до Гонтовой Липки, в 13 километрах от Невы. На 2 октября 1941 года держала оборону на рубеже Липка, озеро Глухое в 2 километрах северо-западнее Гайтолово. С января 1942 года дивизия вела наступательные и оборонительные бои на этом участке обороны, пытаясь выйти к Неве и прорвать с востока блокаду Ленинграда. Штаб дивизии находился в деревне Назия. Вероятно, красноармеец Яковлев Алексей Ерофеевич пропал без вести в ходе боев в январе-феврале 1942 года.
Источник: Центральный Архив Министерства Обороны Российской Федерации.

Поселок Назия, Кировский муниципальный округ, Ленинградская область.